0.074
ac
About This Property
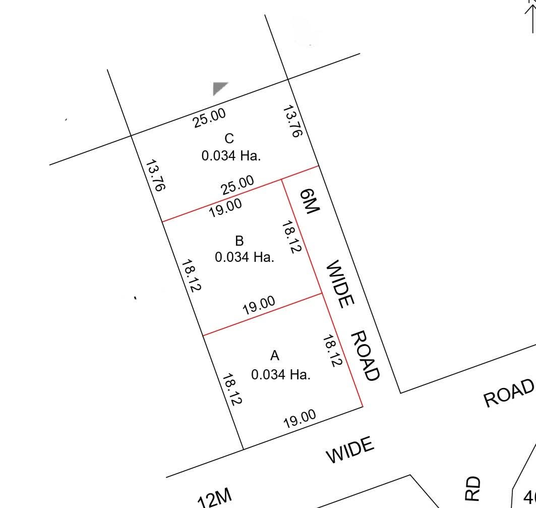
RESIDENTIAL PLOTS FOR SALE | MUGUTHA, RUIRU 📍 | KSH 3.5M
Prime plots in a fast-growing residential zone along the Thika Road corridor.
📍 Mugutha, Ruiru (Exit 13)
⏱ 3 mins to Thika Road | 🚗 450m from tarmac
📐 3 adjacent plots | Bigger than 40x80 (≈0.034 Ha)
🌿 Flat murram land, ready for development
🏘 Controlled residential setting
💧 Water + 🔌 electricity available
📃 Freehold title deed
Ideal for residential development or investment in a high-growth area 📈
💰 KSh 3.5M each
Reach Out to secure a site visit
Location Details
Address:
Town: Mugutha
County: KIAMBU
Constituency: JUJA
Ward: MURERA
